.jpg)
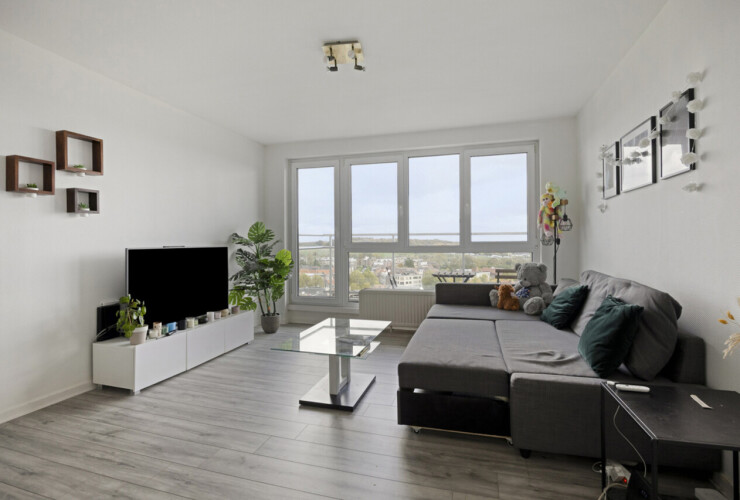
Commercieel gelijkvloers
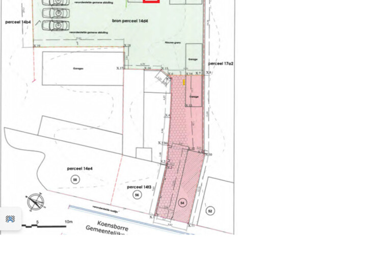
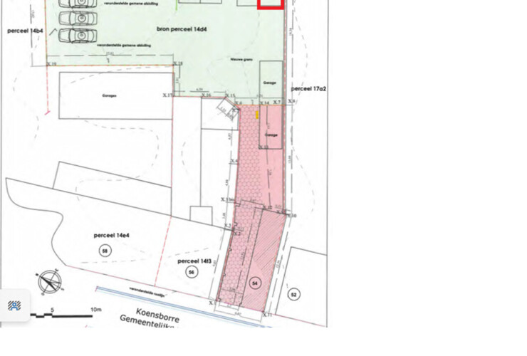
1083 Ganshoren
€ 349.000
- Leefruimte211m²